📸 Imagen cortesía: Imagen suministrada. D.R.A.
[ZONA CATASTRÓFICA, ¿Y AHORA?]
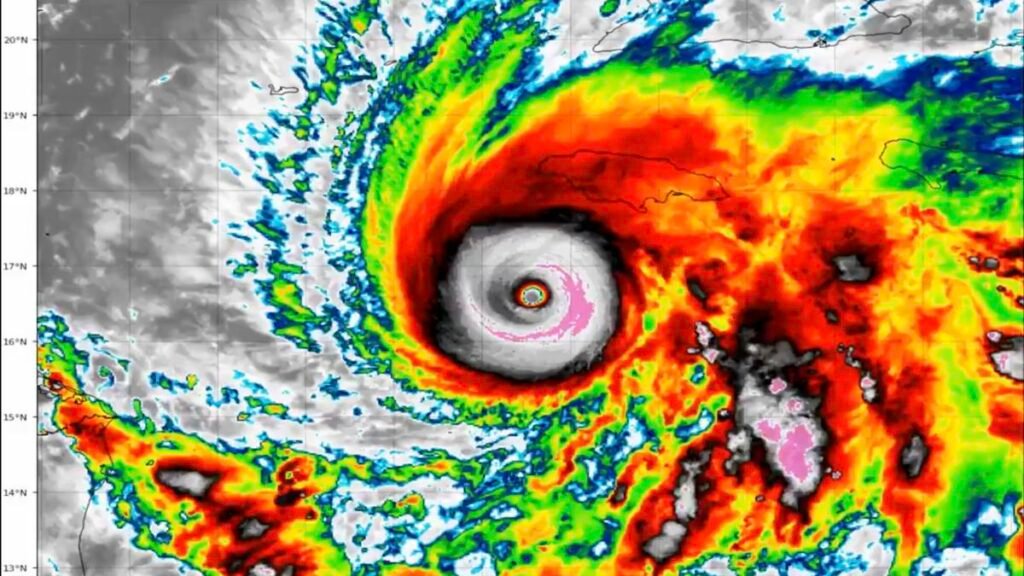
Este martes 28 de octubre de 2025, Jamaica despertó bajo un manto de emergencia: el huracán Melissa no solo marcó un antes y un después en la historia meteorológica de la isla, sino que obligó a declarar al país como “zona catastrófica”.
El primer ministro Andrew Holness, apenas unas horas después del azote de la tormenta, firmó el decreto que pondría en marcha todos los mecanismos de respuesta y reconstrucción previstos en la Ley de Gestión del Riesgo de Desastres. Una acción que reflejaba la gravedad de la situación: un huracán con vientos que superaron los 295 kilómetros por hora tocó tierra en New Hope, parroquia de Westmoreland, en la costa sur jamaicana, dejando el ciclón más intenso jamás registrado en la memoria colectiva.
Las calles reducidas a ríos turbulentos, árboles que célebremente dominaban el paisaje, ahora yacen desarraigados, y los techos se suman a una lluvia de escombros sobre hogares y servicios esenciales. Desmond McKenzie, ministro de Gobierno, confirmó que cuatro hospitales principales están severamente dañados y que cerca de 6.000 personas se resguardaron en albergues improvisados; cifras que, según las autoridades, podrían multiplicarse hasta diez veces conforme se termine la evaluación de los daños.
Más allá del impacto inmediato, las raíces del desastre se hunden en una región vulnerable y poco preparada para enfrentar tormentas de tal magnitud. La declaración oficial busca no solo una respuesta rápida, sino también llamar la atención nacional e internacional —la movilización de recursos es urgente, y la coordinación efectiva entre agencias será crucial para evitar que los daños se traduzcan en pérdidas humanas y sociales irreparables.
Mientras Jamaica se enfrenta a la tormenta tras la tormenta, la tragedia se impone como una pregunta abierta: ¿cómo reconstruir no solo casas, sino también la confianza en la capacidad institucional para proteger su gente? El camino de la recuperación apenas comienza, y la isla, tan acostumbrada a convivir con el Caribe indómito, ahora deberá demostrar la resiliencia que la historia le exige.


